往期刊物2017

卷册: 7, 期号: 24

left

Dec

20

Dec

5

Nov

20

Nov

5

Oct

20

Oct

5

Sep

20

Sep

5

Aug

20

Aug

5

Jul

20

Jul

5

Jun

20

Jun

5

May

20

May

5

Apr

20

Apr

5

Mar

20

Mar

5

Feb

20

Feb

5

Jan

20

Jan

5

right

生物化学

通过'E标签'蛋白质工程和精氨酸功能化金纳米粒子进行细胞内蛋白质递送的通用方法

A General Method for Intracellular Protein Delivery through ‘E-tag’ Protein Engineering and Arginine Functionalized Gold Nanoparticles

通过'E标签'蛋白质工程和精氨酸功能化金纳米粒子进行细胞内蛋白质递送的通用方法

Rubul  Mout Rubul Mout
VR Vincent M. Rotello
8310 Views
Dec 20, 2017
In this protocol, we describe a method for direct cytosolic protein delivery that avoids endosomal entrapment of the delivered proteins. We achieved this by tagging the desired protein with an oligo glutamic acid tag (E-tag), and subsequently using carrier gold nanoparticles to deliver these E-tagged proteins. When E-tagged proteins and nanoparticles were mixed, they formed nanoassemblies, which got fused to cell membrane upon incubation and directly released the E-tagged protein into cell cytosol. We used this method to deliver a wide variety of proteins with different sizes, charges, and functions in various cell lines (Mout et al., 2017). To use this protocol, the first step is to generate the required materials (gold nanoparticles, recombinant E-tagged proteins). Laboratory-synthesis of gold nanoparticles has been previously described (Yang et al., 2011). Desired E-tagged proteins can be cloned from the corresponding genes, and expressed and purified using standard laboratory procedures. We will use E-tagged green fluorescent protein (GFP) as a reference protein here. Users can simply insert an E-tag into their protein of interest, at either terminus. To achieve maximum delivery efficiency, we suggest users testing different length of E-tags. For example, we inserted E = 0 to 20 (E0 means no E-tag insertion, and E20 means 20 glutamic acids insertion in a row) to most of the proteins we tested, and screened for optimal E-tagged length for highest delivery efficiency. E10-tagged proteins gave us the highest delivery efficiency for most of the proteins (except for Cas9, where E20 tag showed highest delivery efficiency). Once these materials are ready, it takes about ~10 min to make the E-tagged protein and nanoparticle nanoassemblies, which are immediately used for delivery. Complete delivery (~100% for GFP-E10) is achieved in less than 3 h.

癌症生物学

基于FACS利用EGF配体从新鲜人组织中分离神经和胶质瘤干细胞群

FACS-based Isolation of Neural and Glioma Stem Cell Populations from Fresh Human Tissues Utilizing EGF Ligand

基于FACS利用EGF配体从新鲜人组织中分离神经和胶质瘤干细胞群

JT Jessica Tome-Garcia
FD Fiona Doetsch
Nadejda M. Tsankova Nadejda M. Tsankova
13925 Views
Dec 20, 2017
Direct isolation of human neural and glioma stem cells from fresh tissues permits their biological study without prior culture and may capture novel aspects of their molecular phenotype in their native state. Recently, we demonstrated the ability to prospectively isolate stem cell populations from fresh human germinal matrix and glioblastoma samples, exploiting the ability of cells to bind the Epidermal Growth Factor (EGF) ligand in fluorescence-activated cell sorting (FACS). We demonstrated that FACS-isolated EGF-bound neural and glioblastoma populations encompass the sphere-forming colonies in vitro, and are capable of both self-renewal and multilineage differentiation. Here we describe in detail the purification methodology of EGF-bound (i.e., EGFR+) human neural and glioma cells with stem cell properties from fresh postmortem and surgical tissues. The ability to prospectively isolate stem cell populations using native ligand-binding ability opens new doors for understanding both normal and tumor cell biology in uncultured conditions, and is applicable for various downstream molecular sequencing studies at both population and single-cell resolution.

细胞生物学

使用xCELLigence RTCA仪器测量细胞粘附

Using xCELLigence RTCA Instrument to Measure Cell Adhesion

使用xCELLigence RTCA仪器测量细胞粘附

HH Hellyeh Hamidi
JL Johanna Lilja
Johanna  Ivaska Johanna Ivaska
15196 Views
Dec 20, 2017
Cell adhesion to neighbouring cells and to the underlying extracellular matrix (ECM) is a fundamental requirement for the existence of multicellular organisms. As such, the formation, stability and dissociation of cell adhesions are subject to tight control in space and time and perturbations within the sophisticated adhesion machinery are associated with a variety of human pathologies. Here, we outline a simple protocol to monitor alterations in cell adhesion to the ECM, for example, following genetic manipulations or overexpression of a protein of interest or in response to drug treatment, using the xCELLigence real-time cell analysis (RTCA) system.
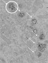
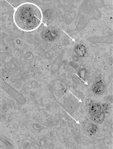
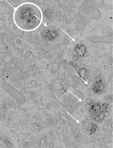
自噬体标志物LC3的免疫金电镜观察

Immunogold Electron Microscopy of the Autophagosome Marker LC3

自噬体标志物LC3的免疫金电镜观察

DM Domenico Mattoscio
AR Andrea Raimondi
CT Carlo Tacchetti
SC Susanna Chiocca
13318 Views
Dec 20, 2017
Even though autophagy was firstly observed by transmission electron microscopy already in the 1950s (reviewed in Eskelinen et al., 2011), nowadays this technique remains one of the most powerful systems to monitor autophagic processes. The autophagosome, an LC3-positive double membrane structures enclosing cellular materials, represents the key organelle in autophagy and its simple visualization and/or numeration allow to draw important conclusions about the autophagic flux. Therefore, the accurate identification of autophagosomes is crucial for a comprehensive and detailed dissection of autophagy. Here we present a simple protocol to identify autophagosomes by transmission electron microscopy coupled to immunogold labeling of LC3 starting from a relatively low cell number, which we recently developed to follow the autophagic pathway during viral-mediated human carcinogenesis.
从小鼠骨骼肌组织中骨骼肌细胞核的生化分离

Biochemical Isolation of Myonuclei from Mouse Skeletal Muscle Tissue

从小鼠骨骼肌组织中骨骼肌细胞核的生化分离

Alicia A Cutler Alicia A Cutler
AC Anita H Corbett
Grace K Pavlath Grace K Pavlath
13055 Views
Dec 20, 2017
Skeletal muscle provides the contractile force necessary for movement, swallowing, and breathing and, consequently, is necessary for survival. Skeletal muscle cells are unique in that they are extremely large cells containing thousands of nuclei. These nuclei must all work in concert to maintain skeletal muscle function and thereby maintain life. The nucleus is a major site of signaling integration and gene expression regulation. However, examining nuclear processes in skeletal muscle can be difficult because myonuclei are challenging to isolate. We optimized a protocol to purify myonuclei from whole muscle tissue using ultracentrifugation over a discontinuous sucrose gradient to separate the nuclear fraction. We used these purified nuclei for downstream applications including flow cytometry and mass spectrometry. We used this method to compare the myonuclear proteome of young and old mouse hindlimb muscles (Cutler et al., 2017). This protocol may be applied to isolating myonuclei for a variety of downstream analyses such as flow cytometry, microscopy, Western blot, and proteomics.

发育生物学

使用慢病毒递送的离体滋养层特定基因操作

Ex vivo Trophoblast-specific Genetic Manipulation Using Lentiviral Delivery

使用慢病毒递送的离体滋养层特定基因操作

DC Damayanti Chakraborty
MM Masanaga Muto
Michael  J. Soares Michael J. Soares
8161 Views
Dec 20, 2017
In this protocol report, we describe a lentiviral gene delivery technique for genetic modification of the rat trophoblast cell lineage. Lentiviral packaged gene constructs can be efficiently and specifically delivered to the trophoblast cell lineage of the blastocyst. The consequences of ‘gain-of-function’ and ‘loss-of-function’ blastocyst manipulations can be evaluated with in vitro outgrowth assays or following transfer to pseudopregnant rats.

免疫学

使用Ki67和BrdU共同标记通过流式细胞术分析体内T细胞分裂的时间动力学

Analysing Temporal Dynamics of T Cell Division in vivo Using Ki67 and BrdU Co-labelling by Flow Cytometry

使用Ki67和BrdU共同标记通过流式细胞术分析体内T细胞分裂的时间动力学

TH Thea Hogan
AY Andrew Yates
BS Benedict Seddon
13077 Views
Dec 20, 2017
This protocol was developed to increase the richness of information available from in vivo T cell proliferation studies. DNA labelling techniques such as BrdU incorporation allow precise control of label administration and withdrawal, so that the division history of a population can be tracked in detail over long timeframes (days-weeks). Ki67 is expressed in the nucleus of dividing cells, and is retained for a short time (3-4 days) after division (Gossel et al., 2017); therefore acting as a molecular clock to identify cells that have recently divided. Combining these two techniques allows the integration of current and historical proliferation information from individual cells within a population. This data can subsequently be used to probe population dynamics by fitting mathematical models of proliferation (Gossel et al., 2017).
生成白消安嵌合体小鼠用于T细胞群体动力学分析

Generation of Busulfan Chimeric Mice for the Analysis of T Cell Population Dynamics

生成白消安嵌合体小鼠用于T细胞群体动力学分析

TH Thea Hogan
AY Andrew Yates
BS Benedict Seddon
10749 Views
Dec 20, 2017
This protocol was developed to generate chimeric mice in which T lymphocytes could be stratified by age on the basis of congenic marker expression. The conditioning drug busulfan is used to ablate host haematopoietic stem cells while leaving the peripheral immune system intact. Busulfan treatment is followed by bone marrow transplantation (BMT), with T-cell depleted donor bone marrow bearing a different congenic marker (CD45.2) to that of the host mouse (CD45.1). New cell production post-BMT can thus be tracked by measuring the fraction of CD45.2+ cells over time within a population of interest (Hogan et al., 2015; Gossel et al., 2017).
免疫复合物介导的小鼠背部皮肤血管炎模型及中性粒细胞介导的组织损伤评估

Mouse Model of Immune Complex-mediated Vasculitis in Dorsal Skin and Assessment of the Neutrophil-mediated Tissue Damage

免疫复合物介导的小鼠背部皮肤血管炎模型及中性粒细胞介导的组织损伤评估

Dongsheng Jiang Dongsheng Jiang
Jd Juliane C. de Vries
JM Jana Muschhammer
AS Anca Sindrilaru
KS Karin Scharffetter-Kochanek
9010 Views
Dec 20, 2017
Neutrophils are the most abundant leukocytes in the blood. In the recent decades, their crucial roles in host defense, immune regulation and tissue damage have been studied in a deeper dimension. In this protocol, we described a mouse model of immune complex-mediated vasculitis in the dorsal skin induced by Arthus reaction, and the subsequent analysis of edema, hemorrhage and tissue damage due to neutrophil activation by means of Evans blue area analysis, histology, and immunofluorescence. This protocol could facilitate the investigation of cellular therapy strategy against over-activated neutrophil-mediated tissue damage.

微生物学

模式生物小鼠口腔微生物组鉴定

Oral Microbiome Characterization in Murine Models

模式生物小鼠口腔微生物组鉴定

LA Loreto Abusleme
BH Bo-Young Hong
AH Anilei Hoare
JK Joanne E. Konkel
PD Patricia I. Diaz
NM Niki M. Moutsopoulos
11009 Views
Dec 20, 2017
The oral microbiome has been implicated as a trigger for immune responsiveness in the oral cavity, particularly in the setting of the inflammatory disease periodontitis. The protocol presented here is aimed at characterizing the oral microbiome in murine models at steady state and during perturbations of immunity or physiology. Herein, we describe murine oral microbiome sampling procedures, processing of low biomass samples and subsequent microbiome characterization based on 16S rRNA gene sequencing.
水稻黑条矮缩病病毒的制备及其对水稻的感染

Rice Black-streaked Dwarf Virus Preparation and Infection on Rice

水稻黑条矮缩病病毒的制备及其对水稻的感染

ZS Zongtao Sun
HZ Hehong Zhang
KX Kaili Xie
XT Xiaoxiang Tan
HZ Hengmu Zhang
JC Jianping Chen
9613 Views
Dec 20, 2017
Rice black-streaked dwarf virus (RBSDV), a member of genus Fijivirus in the family Reoviridae, infects rice, maize, barley and wheat, and can seriously affect crop yields. RBSDV is transmitted by the small brown planthopper (Laodelphax striatellus, SBPH) in a persistent manner. RBSDV has 10 linear dsRNA genomic segments, making it difficult to construct infectious clones for functional studies in plants. Here we describe a method for inoculating and maintaining RBSDV on rice in a greenhouse for use in laboratory research. The protocol uses SBPHs mass reared in the laboratory. We also describe in detail the propagation of a healthy planthopper population, the preparation of plant material, RBSDV inoculation and the evaluation of the rice after inoculation.

分子生物学

使用两种不同的荧光蛋白进行双等位基因编辑青鳉的无基因分型选择

Genotyping-free Selection of Double Allelic Gene Edited Medaka Using Two Different Fluorescent Proteins

使用两种不同的荧光蛋白进行双等位基因编辑青鳉的无基因分型选择

Yu Murakami Yu Murakami
SA Satoshi Ansai
AY Akari Yonemura
MK Masato Kinoshita
7980 Views
Dec 20, 2017
This protocol describes a simple genotyping using two different colors of fluorescent protein genes inserted at the target locus. This method makes it possible to determine the genotype of each individual simply by observing the fluorescence later than F1 generation.

神经科学

成年大鼠脑突触体的制备、刺激及其他用途

Preparation, Stimulation and Other Uses of Adult Rat Brain Synaptosomes

成年大鼠脑突触体的制备、刺激及其他用途

JM Jigar Modi
HP Howard Prentice
JW Jang-Yen Wu
7999 Views
Dec 20, 2017
In this paper, our protocol for preparation of brain synaptosomes is described. Synaptosomes are a valuable model system for analysis of structural components of the synapse as well as for investigation of synaptic function. Synaptosomal preparations are necessary for understanding molecular changes at synapses where critical post-translational modifications of synaptic proteins may occur. Not only are synaptosomes rich in synaptic proteins, but they can be used for analyzing uptake of neurotransmitters into synaptic vesicles and for analysis of the involvement of neurotransmitter synthesis and release. Synaptosomes can be stimulated with increased calcium influx to release neurotransmitters. Synaptosomal preparations have been used in characterizing calcium dependent phosphorylation and activation of the GABA synthesizing enzyme GAD65 (L-glutamic acid decarboxylase with molecular weight of 65 kDa). By examining protein complexes on the membrane of synaptic vesicles obtained from synaptosomal preparations, it was possible to characterize the role of GAD65 in the coupled synthesis and vesicular uptake of GABA (γ-aminobutyric acid) culminating in GABA vesicular release, which contributes in an important way to fine-tuning of GABAergic neurotransmission.

植物科学

制备洋葱表皮细胞壁用于原子力显微镜(AFM)成像

Preparation of Onion Epidermal Cell Walls for Imaging by Atomic Force Microscopy (AFM)

制备洋葱表皮细胞壁用于原子力显微镜(AFM)成像

Tian  Zhang Tian Zhang
DC Daniel J. Cosgrove
15151 Views
Dec 20, 2017
The growing plant cell wall is comprised of long, thin cellulose microfibrils embedded in a hydrated matrix of polysaccharides and glycoproteins. These components are typically constructed in layers (lamellae) on the inner surface of the cell wall, i.e., between the existing wall and the plasma membrane. The organization of these components is an important feature for plant cell growth and mechanics. To directly visualize the nano-scale structure of the newly-deposited surface of primary plant cell walls without dehydration or chemical extraction, a protocol of cell wall preparation for AFM imaging the most recently-synthesized cell wall surface in aqueous solutions was developed. Although the method was developed for onion scale epidermal peels, it can also be adapted to other organs, such as Arabidopsis hypocotyls, as well as ground samples of cell walls from the leaf petioles or hypocotyls of Arabidopsis and cucumber, maize coleoptiles and onion parenchyma. Potential artifacts of AFM imaging of plant cell walls are also discussed.
洋葱表皮细胞壁的生物力学表征

Biomechanical Characterization of Onion Epidermal Cell Walls

洋葱表皮细胞壁的生物力学表征

DD Daniel M. Durachko
YP Yong Bum Park
Tian Zhang Tian Zhang
DC Daniel J. Cosgrove
13232 Views
Dec 20, 2017
Here we describe two experimental protocols to measure the biomechanical properties of primary (growing) plant cell walls, with a focus on analyzing cell wall epidermal strips of onion scales. The first protocol measures cell wall creep (time-dependent irreversible extension) under constant force. Such creep is often mediated by the wall-loosening action of expansin or selective endoglucanases. The second protocol is based on two consecutive stretches of the wall and measures the wall’s elastic and plastic compliances, which depend on cell wall structure. These two assays provide complementary information that may be linked to cell wall structure and expansive growth of cells.
通过测量H+泵和定量H+-ATP酶分析测定拟南芥保卫细胞原生质体中H+-ATP酶的活性

Determination of H+-ATPase Activity in Arabidopsis Guard Cell Protoplasts through H+-pumping Measurement and H+-ATPase Quantification

通过测量H+泵和定量H+-ATP酶分析测定拟南芥保卫细胞原生质体中H+-ATP酶的活性

SY Shota Yamauchi
KS Ken-ichiro Shimazaki
9751 Views
Dec 20, 2017
The opening of stomata in plants in response to blue light is driven by the plasma membrane H+-ATPase in guard cells. To evaluate the activation of the H+-ATPase in vivo, we can use H+-pumping by guard cells in response to blue light and fusicoccin. To do this, it is required to prepare a large amount of guard cell protoplasts and measure H+-pumping in the protoplasts. It is also necessary to determine the protein amount of H+-ATPase. In this protocol, we describe the procedures required for these preparations and measurements.
用[14C]蔗糖定量叶盘韧皮部装载能力

Quantifying the Capacity of Phloem Loading in Leaf Disks with [14C]Sucrose

用[14C]蔗糖定量叶盘韧皮部装载能力

UY Umesh P Yadav
AK Aswad S Khadilkar
MS Mearaj A Shaikh
RT Robert Turgeon
BA Brian G Ayre
8060 Views
Dec 20, 2017
Phloem loading and transport of photoassimilate from photoautotrophic source leaves to heterotrophic sink organs are essential physiological processes that help the disparate organs of a plant function as a single, unified organism. We present three protocols we routinely use in combination with each other to assess (1) the relative rates of sucrose (Suc) loading into the phloem vascular system of mature leaves (this protocol), (2) the relative rates of carbon loading and transport through the phloem (Yadav et al., 2017a), and (3) the relative rates of carbon unloading into heterotrophic sink organs, specifically roots, after long-distance transport (Yadav et al., 2017b). We propose that conducting all three protocols on experimental and control plants provides a reliable comparison of whole-plant carbon partitioning, and minimizes ambiguities associated with a single protocol conducted in isolation (Dasgupta et al., 2014; Khadilkar et al., 2016). In this protocol, Arabidopsis leaf disks isolated from mature rosette leaves are infiltrated with a buffered solution containing [14C]Suc. Suc transporters (SUCs or SUTs) load Suc into the phloem and excess, unloaded Suc in the leaf disk is then washed away. Loading of labeled Suc into the veins is visualized by autoradiography of lyophilized leaf disks and quantified by scintillation counting. Results are expressed as disintegration per minute per unit of leaf disk fresh weight or area.
用昆虫细菌共生体唐菖蒲伯克霍尔德菌感染大豆植株及植物适应性评价

Infection of Soybean Plants with the Insect Bacterial Symbiont Burkholderia gladioli and Evaluation of Plant Fitness

用昆虫细菌共生体唐菖蒲伯克霍尔德菌感染大豆植株及植物适应性评价

Paul Gaube Paul Gaube
MK Martin Kaltenpoth
Laura V. Flórez Laura V. Flórez
7879 Views
Dec 20, 2017
To investigate the establishment and consequences of host-microbe interactions, it is important to develop controlled infection assays suitable for each system, as well as appropriate methods to evaluate successful infection and its associated effects. Here, we describe a procedure for bacterial inoculation of soybean plants, followed by the assessment of systemic infection and impact on plant fitness. Soybean (Glycine max) seedlings were mechanically wounded using a device that mimics insect herbivory and inoculated with known cell numbers of Burkholderia gladioli bacteria previously isolated from an insect host. The impact on the plants was evaluated by monitoring changes in height, time to flowering and chlorophyll content during plant development, and by quantifying seed production in comparison to plants inoculated with sterile water. The presence and proliferation of bacterial infection were examined in tissues from developed plants using quantitative PCR and fluorescence in situ hybridization (FISH).
用[14C]CO2进行光合标记后通过EDTA溶液收集韧皮部渗出液来评估拟南芥长距离碳运输速率

Assessing Rates of Long-distance Carbon Transport in Arabidopsis by Collecting Phloem Exudations into EDTA Solutions after Photosynthetic Labeling with [14C]CO2

用[14C]CO2进行光合标记后通过EDTA溶液收集韧皮部渗出液来评估拟南芥长距离碳运输速率

UY Umesh P Yadav
AK Aswad S Khadilkar
MS Mearaj A Shaikh
RT Robert Turgeon
BA Brian G Ayre
7010 Views
Dec 20, 2017
Phloem loading and transport of photoassimilate from photoautotrophic source leaves to heterotrophic sink organs are essential physiological processes that help the disparate organs of a plant function as a single, unified organism. We present three protocols we routinely use in combination with each other to assess (1) the relative rates of sucrose (Suc) loading into the phloem vascular system of mature leaves (Yadav et al., 2017a), (2) the relative rates of carbon loading and transport through the phloem (this protocol), and (3) the relative rates of carbon unloading into heterotrophic sink organs, specifically roots, after long-distance transport (Yadav et al., 2017b), We propose that conducting all three protocols on experimental and control plants provides a reliable comparison of whole-plant carbon partitioning, and minimizes ambiguities associated with a single protocol conducted in isolation (Dasgupta et al., 2014; Khadilkar et al., 2016). In this protocol, [14C]CO2 is photoassimilated in source leaves and phloem loading and transport of photoassimilate is quantified by collecting phloem exudates into an EDTA solution followed by scintillation counting.
利用[14C]CO2评估从光合源叶到异养库器官的远距离运输

Assessing Long-distance Transport from Photosynthetic Source Leaves to Heterotrophic Sink Organs with [14C]CO2

利用[14C]CO2评估从光合源叶到异养库器官的远距离运输

UY Umesh P Yadav
AK Aswad S Khadilkar
MS Mearaj A Shaikh
RT Robert Turgeon
BA Brian G Ayre
6612 Views
Dec 20, 2017
Phloem loading and transport of photoassimilate from photoautotrophic source leaves to heterotrophic sink organs are essential physiological processes that help the disparate organs of a plant function as a single, unified organism. We present three protocols we routinely use in combination with each other to assess (1) the relative rates of sucrose (Suc) loading into the phloem vascular system of mature leaves (Yadav et al., 2017a), (2) the relative rates of carbon loading and transport through the phloem (Yadav et al., 2017b), and (3) the relative rates of carbon unloading into heterotrophic sink organs, specifically roots, after long-distance transport (this protocol). We propose that conducting all three protocols on experimental and control plants provides a reliable comparison of whole-plant carbon partitioning, and minimizes ambiguities associated with a single protocol conducted in isolation (Dasgupta et al., 2014; Khadilkar et al., 2016). In this protocol, [14C]CO2 is photoassimilated in source leaves and phloem loading and transport of the 14C label to heterotrophic sink organs, particularly roots, is quantified by scintillation counting. Using this protocol, we demonstrated that overexpression of sucrose transporters and a vacuolar proton pumping pyrophosphatase in the companion cells of Arabidopsis enhanced transport of 14C label photoassimilates to sink organs (Dasgupta et al., 2014; Khadilkar et al., 2016). This method can be adapted to quantify long-distance transport in other plant species.